
Atención Florida: Beryl se convierte en huracán en el Atlántico y podría alcanzar categoría 3

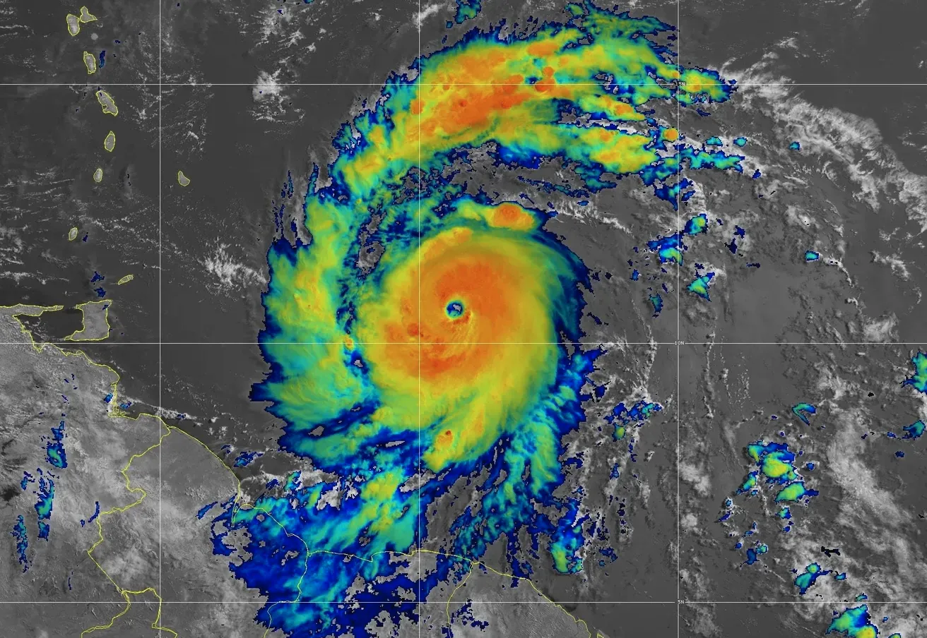
La tormenta tropical Beryl se convirtió en huracán este pasado sábado. Mientras avanza hacia el sureste del Caribe, se pronostica que alcance la categoría 3, o incluso sea mayor, antes de llegar a Barbados el domingo por la noche o el lunes en la madrugada, según reportó Diario Las Américas.
Se trata del primer huracán de la temporada. “Se pronostica ahora un rápido fortalecimiento”, señaló el Centro Nacional de Huracanes de Estados Unidos (NHC), con sede en Miami.
La agencia indicó en su informe más reciente de las 5:00 pm, que el sistema cuenta con vientos máximos sostenidos de 75 millas por hora (mph) y se dirige hacia el oeste a una velocidad cerca de 22 mph.
“Se espera un movimiento relativamente rápido hacia el oeste a oeste-noroeste durante los próximos días. En la trayectoria del pronóstico, se espera que el centro de Beryl se mueva a través de las Islas de Barlovento el domingo por la noche y el lunes” advirtió el NHC.
Un huracán se considera mayor si alcanza la categoría 3 o más, con vientos de al menos 178 km/h (111 mph). Se activaron alertas de huracán en Barbados, Santa Lucía, Granada y San Vicente y las Granadinas, mientras que se emitió una alerta de tormenta tropical en Martinica y Tobago.
“Es sorprendente ver un pronóstico de huracán mayor (categoría 3 o más) en junio en cualquier parte del Atlántico, y ni hablar de uno tan al este en lo profundo del trópico. Beryl se organizó rápidamente en las aguas más cálidas jamás registradas a finales de junio”, escribió en X Michael Lowry, experto en huracanes que reside en Florida.
Un huracán se considera mayor si alcanza la categoría 3 o más, con vientos de al menos 178 kilómetros por hora (111 millas por hora). Por el momento Beryl se ubica en la categóría 1. Es la primera vez que un huracán se forma tan al este en el Atlántico tropical en junio desde que se llevan registros, con lo cual se rompió un antiguo récord establecido en 1933, según Philip Klotzbach, investigador de huracanes de la Universidad Estatal de Colorado.
Se activaron alertas de huracán en Barbados, Santa Lucía, Granada y San Vicente y las Granadinas, mientras que en Martinica, Dominica y Tobago se emitió una alerta de tormenta tropical.
Actualmente, Beryl se desplaza hacia el oeste, amenazando con afectar partes del Caribe, incluidas las islas Windward. Según el NHC, se espera que Beryl se convierta en huracán antes de llegar a las Antillas Menores.
La tormenta se encuentra a 1,785 km al este-sureste de Barbados, con vientos sostenidos de 65 km/h y ráfagas de hasta 85 km/h. Aunque por el momento no representa un riesgo para México, se anticipan fuertes precipitaciones en varias partes de Centroamérica y México hasta principios de la próxima semana.
Consejos clave para huracanes
Haga un plan: Cada hogar debe tener un plan de desastre específico para las necesidades de todos sus miembros, incluyendo niños, mascotas y personas mayores. Visite FloridaDisaster.org/PlanPrepare para más información.
Prepare un kit: Identifique ahora los artículos esenciales que pueda necesitar durante o después de un huracán. Un kit debe incluir suficientes alimentos no perecederos y agua para cada miembro de la familia para al menos siete días, medicamentos adicionales y documentos personales importantes. Para una lista de verificación completa, visite FloridaDisaster.org/Kit.
Tener múltiples formas de recibir alertas meteorológicas: Cada hogar debe tener varias maneras de recibir alertas meteorológicas y seguir todas las instrucciones de los funcionarios locales. Se recomienda tener una radio meteorológica de manivela o a batería para garantizar que pueda recibir alertas del Servicio Meteorológico Nacional en caso de cortes de energía o daños en las torres de telefonía celular.
Conozca su zona, conozca su hogar: Es vital que los residentes sepan si viven en una zona de evacuación, un área baja propensa a inundaciones, una casa móvil o una estructura insegura durante la temporada de huracanes.
También es importante conocer la capacidad de su hogar para resistir vientos fuertes y lluvias intensas. Para más información y determinar las zonas de evacuación, visite FloridaDisaster.org/Know.
Mantenga los tanques de gasolina hasta la mitad: Los residentes deben mantener los tanques de gasolina de sus vehículos al menos a la mitad durante la temporada de huracanes para asegurarse de tener suficiente combustible para evacuar rápidamente sin preocuparse por largas filas en las estaciones de servicio y para evitar la escasez de gasolina antes de una tormenta.
Para los floridanos con vehículos eléctricos, se recomienda que la batería se mantenga entre el 50% y el 80% de su capacidad en todo momento, según el tipo de vehículo y lo que recomienda el manual del vehículo.
Visite FloridaDisaster.org/HalfwayFull para más información.



La necesidad imperiosa de EEUU de derrocar el régimen comunista de Cuba

Los barcos estadounidenses al norte de Cuba sugieren un cambio de foco

Alarma en Cuba: buques de guerra al norte de la isla y la dictadura tiembla


¿Los mercados destituyen sólo a Miguel Díaz-Canel o también al castrismo?


Joven cubano en lista de influyente think tank estadounidense que busca reavivar valores occidentales

Jóvenes evangélicos: las voces más visibles en Cuba contra la tiranía socialista



Carta abierta al presidente Donald Trump y al secretario de Estado Marco Rubio


Final del castrismo: entre la afirmación revolucionaria y el delirio interpretativo


